
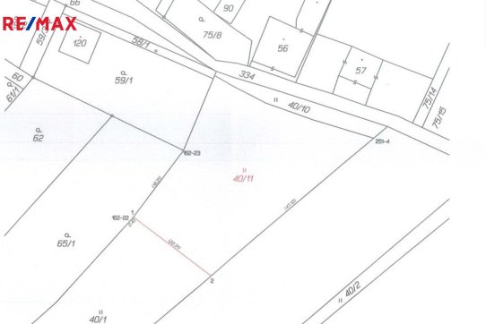
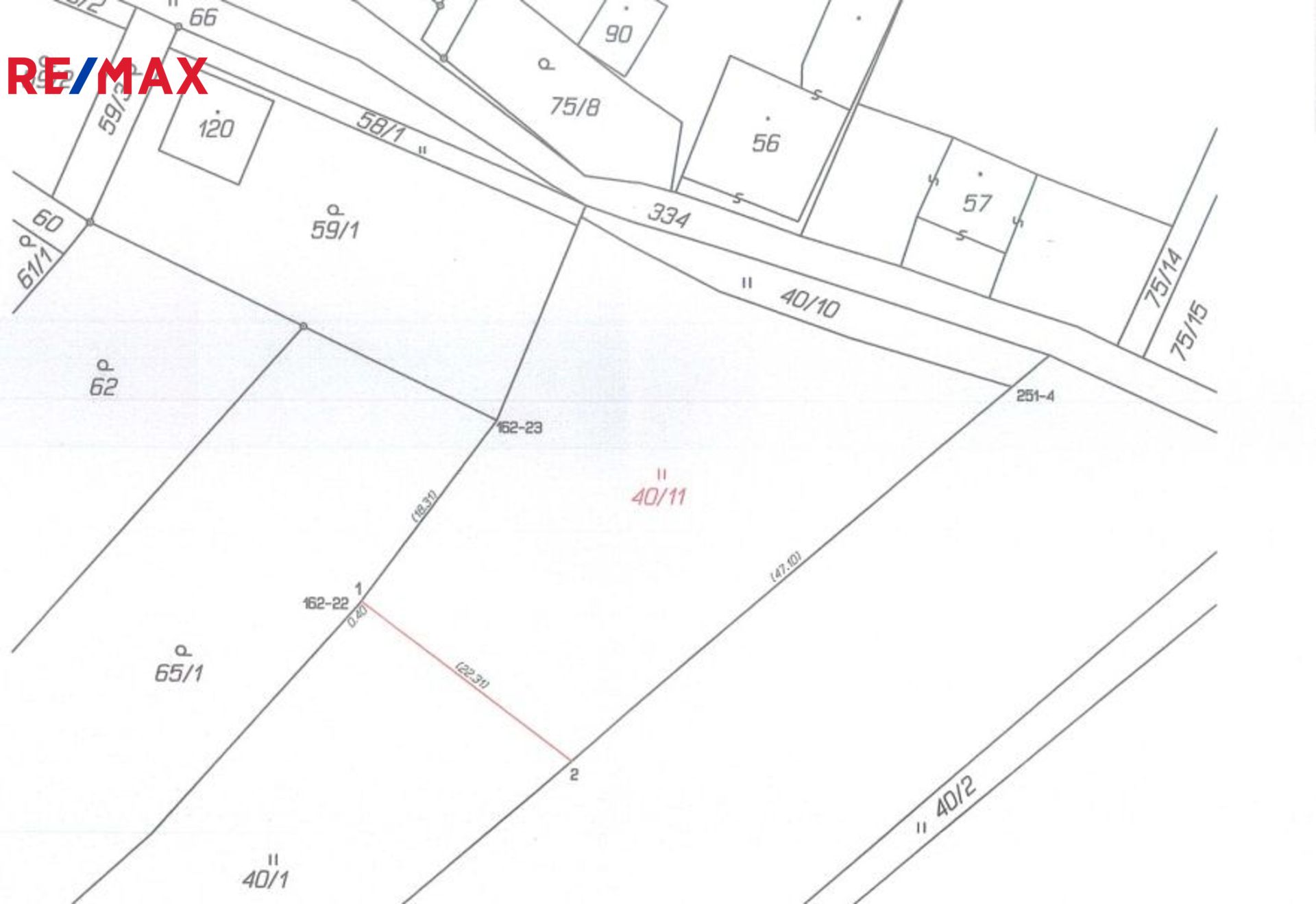
Nabízím k prodeji pozemek určený územním plánem k výstavbě rodinného bydlení v obci Vrbice u Vacova o výměře 1.134 m2.
Jedná se o mírně svažitý pozemek na okraji obce, dobře přístupný z obecní komunikace a v současné době užívaný jako zahrada.
Elektrické vedení prochází okrajem pozemku a obecní vodovod je vzdálen cca 22 m od hranice pozemku. Viz. obrazová příloha inzerce.
Doporučuji pro výstavbu klidného bydlení s komfortem plné občanské vybavenosti v obci Vacov v krásném podhůří Šumavy, nebo jako atraktivní rekreační bydlení. Tento region představuje ráj pro turisty a cykloturisty. Pro lyžaře je zajímavý 15 km vzdálený lyžařský areál Zadov.
V případě zájmu mohu zajistit výhodné financování.
Nabízíme ke koupi pozemek nedaleko obce Dřešín (poblíž chatové oblasti, kterou odděluje potok Peklo). Pozemek má rozlohu 1.629m2 a nachází se na rovině bezprostředně u hlavní silnice ve směru na Vacov (a dále na ...
2 400 000 Kč za nemovitost
Nabízíme ke koupi dva pozemky tvořící funkční celek o celkové výměře 25.976m2 spolu s ostatní plochou – silnicí. Pozemky jsou v katastru vedené jako trvalý travní porost. Jsou obhospodařované, v současné dob�...
1 010 560 Kč za nemovitost
Nabízíme ke koupi pět pozemků tvořících funkční celek o celkové rozloze 13.593m2. Pozemky (orná půda a lesní pozemek) se nacházejí v žádané lokalitě, která je chráněnou krajinnou oblastí části Šumava. Jso...
860 000 Kč za nemovitost
Exkluzivně nabízíme pozemek v obci Borová Lada v katastrálním území Paseka u Borových Lad o celkové výměře 8040 m2. Pozemek leží souběžně s asfaltovou komunikací, ze které je přístup. Druh pozemku - evidovan�...
1 980 000 Kč za nemovitost
Kompletní právní servis služeb.
Exkluzivně nabízíme prodej lesního pozemku z části zatravněný s celkovou výměrou 29205 m2. Pozemek je v jednom celku a nachází se v katastrálním území Černá Lada s parc. číslem 29/3 nedaleko obce Borová Lada n...
1 373 000 Kč za nemovitost
Kompletní právní servis služeb.